Verder af te werken woning in Bellem
€ 265 000 Aalter Zwagershullestraat 12
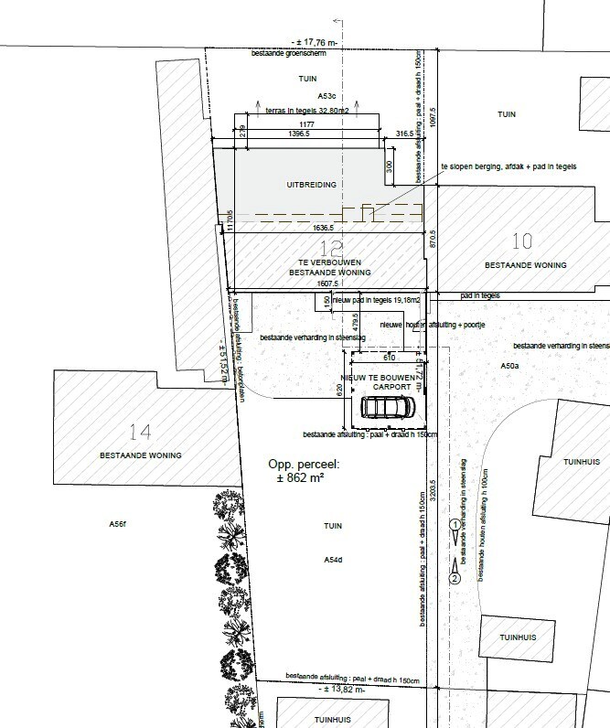
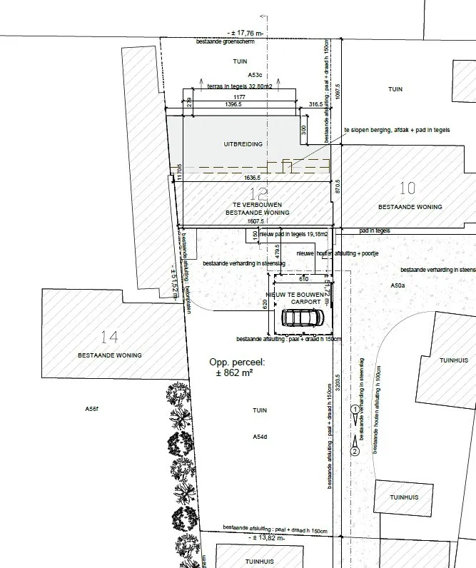
Ontdek deze uiterst rustig gelegen, verder af te werken woning op een perceel van 850 m² in het charmante Bellem. Deze eigendom biedt een unieke kans voor wie op zoek is naar een bouwproject of wie graag zijn droomwoning volledig naar eigen smaak wil afwerken.
De bouwvergunning en goedgekeurde plannen voor een volwaardige woning met drie slaapkamers zijn reeds aanwezig, waardoor u meteen aan de slag kunt. De bestaande structuur vormt een ideale basis om uw woonideeën te realiseren.
Dankzij de rustige ligging geniet u hier van alle privacy en ontspanning, met toch een vlotte verbinding naar zowel Aalter, Gent als Deinze. Scholen, winkels en openbaar vervoer bevinden zich op korte afstand, wat deze locatie extra interessant maakt voor gezinnen of investeerders.
Bent u op zoek naar een bouwgrond met vergunning of een woning verder af te werken naar eigen wens in een groene omgeving?
Contacteer dan Laurens voor meer informatie of een bezoek via laurens@solvas.be
of 0498 04 56 21.
De bouwvergunning en goedgekeurde plannen voor een volwaardige woning met drie slaapkamers zijn reeds aanwezig, waardoor u meteen aan de slag kunt. De bestaande structuur vormt een ideale basis om uw woonideeën te realiseren.
Dankzij de rustige ligging geniet u hier van alle privacy en ontspanning, met toch een vlotte verbinding naar zowel Aalter, Gent als Deinze. Scholen, winkels en openbaar vervoer bevinden zich op korte afstand, wat deze locatie extra interessant maakt voor gezinnen of investeerders.
Bent u op zoek naar een bouwgrond met vergunning of een woning verder af te werken naar eigen wens in een groene omgeving?
Contacteer dan Laurens voor meer informatie of een bezoek via laurens@solvas.be
of 0498 04 56 21.